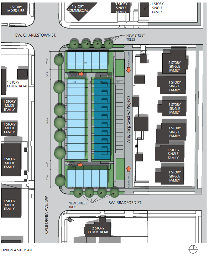
The former Charlestown Cafe site at 3824 California Ave. S.W. is the location of a proposed 30 unit building with some live/work units and 30 parking spaces. Intracorp Real Estate LLC is the owner/developer.
An Early Design Guidance meeting is set for Jan. 30 to review plans for the former Charlestown Cafe site at 3824 California S.W. The project would include 30 townhouses plus live-work units and offer 30 parking spaces. The owner/developer is Intracorp Real Estate LLC who also built Burien Town Square and have a project coming up in the Admiral District. Elsewhere in the area they've built projects in Newcastle, and in Seattle's Roosevelt neighborhood, and University District. They've retained Caron Architecture for the design work.
The project would be comprised of six new buildings. Three structures would contain 17 live-work units of 9,000 sq. ft. at street level and three more structures with 13 townhouse units.
The meeting is set for Jan. 30 at 8 p.m. at the West Seattle Senior Center, 4217 S.W. Oregon Street.
You can download the Early Design Guidance packet (18.8 MB) at the link above.
OPPORTUNITY FOR COMMENT
The DPD Director will accept written comments to assist in the preparation of the early design guidance through January 30, 2014. You are invited to offer comments regarding important site planning and design issues, which you believe, should be addressed in the design for this project.
Comments and requests to be made party of record should be submitted to PRC@seattle.gov or
City of Seattle – DPD – PRC
700 5th Avenue, Suite 2000
PO Box 34019
Seattle, WA 98124-4019